

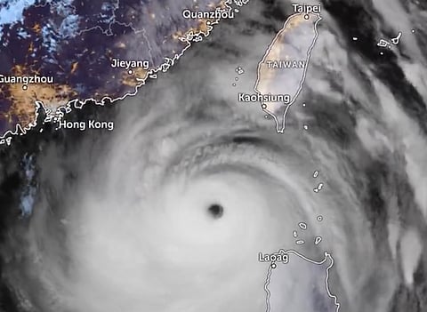
Super Typhoon Ragasa, dubbed the "King of Storms" by China's meteorological agency, is set to strike southern China’s Guangdong province on Wednesday, prompting widespread preparations across the region.
Hong Kong has raised its typhoon warning to signal eight, two levels below the maximum, as the storm, equivalent to a Category 5 hurricane, approaches with wind gusts reaching up to 285km/h (177mph).
Authorities have evacuated over 770,000 people in Guangdong, with more than one million expected to be relocated by Tuesday’s end.
The storm’s path, which has already impacted the northern Philippines, killing at least one person, is expected to move toward northern Vietnam after hitting China.
In Guangdong, at least 10 cities have shuttered schools and businesses to mitigate the storm’s impact.
Hong Kong International Airport anticipates significant disruptions, with over 700 flights canceled, including more than 500 by Cathay Pacific.
In Hong Kong, residents have emptied supermarket shelves of essentials like bread, vegetables, and instant noodles, preparing for potential extended closures.
Shop owners are fortifying storefronts with sandbags, particularly in low-lying coastal areas vulnerable to tidal surges.
The Hong Kong Observatory warns of hurricane-force winds and rising sea levels, potentially mirroring the destructive flooding caused by Typhoon Hato in 2017 and Typhoon Mangkhut in 2018, which resulted in billions in damages.
Across the region, the storm’s effects are already evident.
In the Philippines, Ragasa caused one death and prompted the evacuation of thousands, with schools and government offices closed, including in Manila.
Taiwan reported six injuries and over 100 canceled international flights but was largely spared severe damage.
Residents in Hong Kong are taping windows to prevent shattering, hoping to minimize destruction from the storm’s intense winds and heavy rainfall.
Authorities, including Hong Kong’s Chief Secretary for Administration, Eric Chan, have emphasized the severe threat posed by Ragasa, urging residents to stay indoors as the region braces for potential floods, storm surges, and landslides.