

At least 27 people were killed as severe weather tore through multiple states from the Heartland to the East Coast, with more destructive storms forecast for the weekend.
Kentucky reported the highest death toll, with 18 fatalities, while Missouri confirmed seven deaths and Virginia two. In Kentucky, Laurel County—located about 130 miles southeast of Louisville—was among the hardest-hit areas.
Governor Andy Beshear, who toured the damage Saturday, called the destruction palpable. "You can not only see the destruction, you can feel it," he said during a press conference. Having overseen at least 13 federal disaster declarations during his tenure, Beshear described this storm as one of the worst in terms of lives lost and property damage.
Victims ranged in age from 25 to 76, with at least 12 in their 60s and 70s. Among the dead was Maj. Roger Leslie Leatherman, a 39-year veteran of the Laurel County Fire Department. "He died doing what first responders do every day—risking his life for our safety," Beshear said.
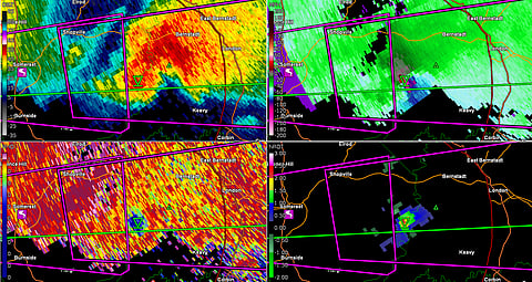
In Missouri, a powerful tornado struck St. Louis on Friday, leveling homes and buildings. Preliminary assessments by the National Weather Service (NWS) classified it as an EF-3 tornado, with winds up to 140 mph and a width of nearly a mile at times.
St. Louis Mayor Cara Spencer called the storm "one of the worst," with five fatalities and 38 injuries reported in the city. "The devastation is truly heartbreaking," she said. "People have lost their lives, and the property damage is immense."
More than 462,000 customers were without power across affected states, stretching from Michigan to Tennessee. At least 26 tornadoes were reported Friday across Kentucky, Indiana, Missouri, Illinois, and New Jersey.
Hailstorms compounded the damage, with softball-sized hail reported in Kentucky and Indiana, and tennis-ball-sized hail from Texas to Ohio. In Virginia, two people died when storms toppled trees onto their vehicles.
As of Saturday, 15 states had reported storm-related damage from hail, high winds, and tornadoes. The severe weather continued tracking eastward, with additional threats looming.
The NWS warned of renewed severe weather Saturday evening, particularly in the southern Plains. A tornado watch was issued for parts of Oklahoma and Texas, including Oklahoma City and Wichita Falls, with risks of damaging winds, large hail, and possible tornadoes.
Meanwhile, strong thunderstorms persisted early Saturday from Arkansas to the Carolinas, bringing quarter-sized hail, downed trees, and roof damage. The Northeast faced threats of damaging winds, hail, and isolated tornadoes in upstate New York, western Massachusetts, and Vermont.
Officials urged residents to remain vigilant, with more storms forecast into early next week. The U.S. recorded nearly 1,800 tornadoes in 2023—the second-highest annual total ever, according to NOAA.